Vendita Terreno Edificabile Calusco D'Adda | Chicercacasa.it
TERRENO EDIFICABILE IN VENDITA A CALUSCO D'ADDA

130.000,0

Vendita Terreno Edificabile Calusco D'Adda

via DELEDDA, Calusco d'Adda

Descrizione

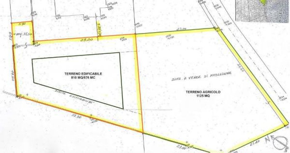
Rif: h&c130tcda-01 - quartiere "torre", in posizione panoramica a confine con il parco dell'adda, con meravigliosa vista sui campi agricoli, vendesi lotto di terreno edificabile gia' urbanizzato e pronto per costruire, di complessivi 810 mq, utile alla realizzazione di una villa singola, bifamiliare o trifamiliare!! 876 mc complessivi sviluppabili su piano unico o su due livelli, con il vantaggio derivato dalla pendenza dell' area, di poter ricavare un ulteriore piano accessorio con ben due lati fuori terra!! possibilita' di acquisto, su richiesta, di ulteriori 1125 mq di terreno agricolo adiacente con solo euro 30.000 aggiuntivi! vendita soggetta ad iva! per info e visite: andrea colombelli 339.43.15.769 - ufficio 035.79.29.22 - e-mail: [email protected] - house & company 360 - affiliato gabetti franchising agency di calusco d' adda (bg) - visita il nostro sito! www.gabetti.it

 

Dettagli

Classe Energetica
A+
IPE
0 kW/mc
Mq
810
Alt. sotto trave
0.00
Area Esterna
0
Licenza
-
Parcheggi priv.
-
Parcheggi pubb.
-
Importo Affitto
0
Incasso
-
Tipo Incasso
-
Rich. Valore
-
Locali
-
Tipo proprietà
Intera proprietà

HOUSE & COMPANY 360 DI COLOMBELLI ANDREA

Email: [email protected] - Telefono: 035792922

Indirizzo

Calusco d'Adda, via G. Marconi

Fax

035.79.28.91

Sito Web

HOUSE & COMPANY 360 DI COLOMBELLI ANDREA

Orari di apertura

Da lunedì a venerdì 9.00 - 12.00 / 14.30 - 19.00 / Sabato su appuntamento

1ALTRIANNUNCISIMILI

139.500

Bonate Sotto

 

Trilocale

BONATE SOTTO T05: In residence con piscina proponiamo bell'appartamento trilocale di 120mq. L'appartamento è composto da ingresso, soggiorno

mq. 120 locali 3

Fumagalli Immobili di Gia…

chicercacasa
quilatrova